Pagina 15 di 144
Vai a Precedente  1, 2, 3 ... 14, 15, 16 ... 142, 143, 144  Successivo
Vai a pagina   
 

Messaggio Re: Dal Mondo: Segnalazioni Ed Eventi Meteo

#211  Cyborg Mer 24 Set, 2014 14:43

Bell'immagine da Zakopane, dove la recente ondata di fresco che ha attraversato l'Europa Orientale ha ben imbiancato i monti.

 zakopane_1411562597_901430
 




____________
www.sangiustinometeo.it
SanGiustinoMeteo su FACEBOOK
 
avatar
serbia.png Cyborg Sesso: Uomo
Mirco
Moderatore
Moderatore
Socio Ordinario
 
Utente #: 609
Registrato: 12 Ott 2009

Età: 39
Messaggi: 8563
1545 Punti

Preferenza Meteo: Indifferente

Stazione Meteo: Ecowitt

Località: San Giustino (PG) 336m - fraz. Cantone 675m

  Condividi
  • Torna in cima Vai a fondo pagina
 


Messaggio Re: Dal Mondo: Segnalazioni Ed Eventi Meteo

#212  Cyborg Gio 25 Set, 2014 08:58

Questa notte è arrivata la prima nevicata degna di nota a Rovaniemi!

 kamera1_00001_1411628506_518731  

 rtavn002_1411628362_861519
 




____________
www.sangiustinometeo.it
SanGiustinoMeteo su FACEBOOK
 
Ultima modifica di Cyborg il Gio 25 Set, 2014 09:01, modificato 2 volte in totale 
avatar
serbia.png Cyborg Sesso: Uomo
Mirco
Moderatore
Moderatore
Socio Ordinario
 
Utente #: 609
Registrato: 12 Ott 2009

Età: 39
Messaggi: 8563
1545 Punti

Preferenza Meteo: Indifferente

Stazione Meteo: Ecowitt

Località: San Giustino (PG) 336m - fraz. Cantone 675m

  Condividi
  • Torna in cima Vai a fondo pagina
 

Messaggio Re: Dal Mondo: Segnalazioni Ed Eventi Meteo

#213  Cyborg Lun 29 Set, 2014 14:21

A Norilsk, dopo alcuni giorni molto rigidi, è arrivata un'avvezione di aria mite da S/O che ha provocato la prima nevicata consistente della stagione. La temperatura però in giornata è risalita fino a 3°C, e il manto si sta assottigliando

 nor

  nor2
 




____________
www.sangiustinometeo.it
SanGiustinoMeteo su FACEBOOK
 
avatar
serbia.png Cyborg Sesso: Uomo
Mirco
Moderatore
Moderatore
Socio Ordinario
 
Utente #: 609
Registrato: 12 Ott 2009

Età: 39
Messaggi: 8563
1545 Punti

Preferenza Meteo: Indifferente

Stazione Meteo: Ecowitt

Località: San Giustino (PG) 336m - fraz. Cantone 675m

  Condividi
  • Torna in cima Vai a fondo pagina
 

Messaggio Re: Dal Mondo: Segnalazioni Ed Eventi Meteo

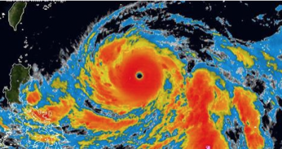
#214  riccardodoc80 Gio 09 Ott, 2014 22:52

Supertifone Vongfong....una bella bestiola!

 schermata_2014_10_09_alle_22_46_21

 schermata_2014_10_09_alle_22_49_55

 tifone_pacifico

 vongfong
 




____________
Sito: http://www.meteocappuccini.it

big

Facebook: lineameteo - Twitter: @lineameteo
 
avatar
italia.png riccardodoc80 Sesso: Uomo
riccardo
Contributor
Contributor
Staff Rete Meteo
Socio Sostenitore
 
Utente #: 54
Registrato: 08 Mag 2005

Età: 45
Messaggi: 6954
50 Punti

Preferenza Meteo: Indifferente

Stazione Meteo: Davis Vantage Pro2

Località: Orte (VT) (233m)

  Condividi
  • Torna in cima Vai a fondo pagina
 

Messaggio Re: Dal Mondo: Segnalazioni Ed Eventi Meteo

#215  Cyborg Mer 15 Ott, 2014 17:13

Gran parte del territorio siberiano centro/settentrionale è inglobato in vasto lago di aria fredda, che sta portando ad un innevamento superiore alla norma. Vedremo se questo sarà un buon segnale per l'inverno (come vorrebbero far intendere i vari indici predittivi ottobrini).

Innevamento e temperature in Siberia:

 34497_1_4

 34497_1_3

 rwavn002_1413385878_315542

Alcune webcam russe:

Murmansk

 murmansk

Vorkuta

 vor_1413385947_935170

Severomorsk

 severomorsk
 




____________
www.sangiustinometeo.it
SanGiustinoMeteo su FACEBOOK
 
Ultima modifica di Cyborg il Mer 15 Ott, 2014 17:17, modificato 2 volte in totale 
avatar
serbia.png Cyborg Sesso: Uomo
Mirco
Moderatore
Moderatore
Socio Ordinario
 
Utente #: 609
Registrato: 12 Ott 2009

Età: 39
Messaggi: 8563
1545 Punti

Preferenza Meteo: Indifferente

Stazione Meteo: Ecowitt

Località: San Giustino (PG) 336m - fraz. Cantone 675m

  Condividi
  • Torna in cima Vai a fondo pagina
 

Messaggio Re: Dal Mondo: Segnalazioni Ed Eventi Meteo

#216  prometeo Mer 15 Ott, 2014 17:25

Potrebbe.....
un comparto freddo è il serbatoio primario per auspicare ad avere qualcosa in tempi futuri
sovente con configurazioni giuste non abbiamo avuto quello che ci aspettavamo in quanto già i vicini balcani  non avevano il freddo a disposizione
speriamo
 




____________
Le medie non sono altro che un tentativo della mente umana di dare un ordine ad un sistema che per natura sua è disordinato
www.perugiameteo.it
 
avatar
italia.png prometeo Sesso: Uomo
Guru
Guru
 
Utente #: 31
Registrato: 21 Apr 2005

Età: 49
Messaggi: 6569
798 Punti

Preferenza Meteo: Freddofilo

Stazione Meteo: PCE-FWS 20

Località: PONTE SAN GIOVANNI/RIVOTORTO

  Condividi
  • Torna in cima Vai a fondo pagina
 

Messaggio Re: Dal Mondo: Segnalazioni Ed Eventi Meteo

#217  Cyborg Lun 20 Ott, 2014 14:05

La Russia è sempre più bianca...

 siberian_snow_cover_2013_vs_2014

Copiosa nevicata anche a Chelyabinsk:

 chel
 




____________
www.sangiustinometeo.it
SanGiustinoMeteo su FACEBOOK
 
avatar
serbia.png Cyborg Sesso: Uomo
Mirco
Moderatore
Moderatore
Socio Ordinario
 
Utente #: 609
Registrato: 12 Ott 2009

Età: 39
Messaggi: 8563
1545 Punti

Preferenza Meteo: Indifferente

Stazione Meteo: Ecowitt

Località: San Giustino (PG) 336m - fraz. Cantone 675m

  Condividi
  • Torna in cima Vai a fondo pagina
 

Messaggio Re: Dal Mondo: Segnalazioni Ed Eventi Meteo

#218  Cyborg Ven 31 Ott, 2014 10:21

Nell'artico russo il sole è sempre più basso e pallido, e a Norilsk la temperatura sprofonda a -23°C.
Tra qualche giorno tutto cadrà nella notte artica e a fare luce resteranno solo le auto, i lampioni e quel cartellone pubblicitario...

 immagine_1414746840_245929
 




____________
www.sangiustinometeo.it
SanGiustinoMeteo su FACEBOOK
 
Ultima modifica di Cyborg il Ven 31 Ott, 2014 10:22, modificato 1 volta in totale 
avatar
serbia.png Cyborg Sesso: Uomo
Mirco
Moderatore
Moderatore
Socio Ordinario
 
Utente #: 609
Registrato: 12 Ott 2009

Età: 39
Messaggi: 8563
1545 Punti

Preferenza Meteo: Indifferente

Stazione Meteo: Ecowitt

Località: San Giustino (PG) 336m - fraz. Cantone 675m

  Condividi
  • Torna in cima Vai a fondo pagina
 

Messaggio Re: Dal Mondo: Segnalazioni Ed Eventi Meteo

#219  Adriatic92 Dom 09 Nov, 2014 14:29

la prossima settimana gli stati centrali e orientali degli USA saranno alle prese con la prima ondata di freddo di questa stagione (tanto per cambiare)  

le anomalie previste


anom2m_f168_ntham

29g0paf
 



 
avatar
italia.png Adriatic92 Sesso: Uomo
Daniel
Guru
Guru
 
Utente #: 1723
Registrato: 14 Mag 2014

Età: 33
Messaggi: 16956
5785 Punti

Preferenza Meteo: Freddofilo

Stazione Meteo: Davis Vantage Vue e Oregon Scientific Generica

Località: Polverigi - AN - 140 mslm / circa 20km a SW di Ancona

  Condividi
  • Torna in cima Vai a fondo pagina
 

Messaggio Re: Dal Mondo: Segnalazioni Ed Eventi Meteo

#220  corry88 Lun 10 Nov, 2014 00:59

Sti americani!!! gran bel freddo mi sa :O
 



 
avatar
italia.png corry88 Sesso: Uomo
Novizio
Novizio
 
Utente #: 1430
Registrato: 11 Gen 2013

Età: 36
Messaggi: 172
51 Punti

Preferenza Meteo: Freddofilo

Stazione Meteo: Altro

Località: Petritoli (FM) 358m frazione Moregnano

  Condividi
  • Torna in cima Vai a fondo pagina
 

Messaggio Re: Dal Mondo: Segnalazioni Ed Eventi Meteo

#221  Cyborg Lun 10 Nov, 2014 12:08

Praticamente un'ondata di freddo che ingloberà i 2/3 degli USA e che porterà la -10°C nel nord del Texas... e poi nel fine settimana subito pronta un'altra bordata con valori da gennaio  
Speriamo che anche quest'anno non sia questo l'andazzo  
 




____________
www.sangiustinometeo.it
SanGiustinoMeteo su FACEBOOK
 
avatar
serbia.png Cyborg Sesso: Uomo
Mirco
Moderatore
Moderatore
Socio Ordinario
 
Utente #: 609
Registrato: 12 Ott 2009

Età: 39
Messaggi: 8563
1545 Punti

Preferenza Meteo: Indifferente

Stazione Meteo: Ecowitt

Località: San Giustino (PG) 336m - fraz. Cantone 675m

  Condividi
  • Torna in cima Vai a fondo pagina
 

Messaggio Re: Dal Mondo: Segnalazioni Ed Eventi Meteo

#222  Fili Lun 10 Nov, 2014 12:10

Adriatic92 ha scritto: [Visualizza Messaggio]


29g0paf


leggerissimo sottomedia!    
 




____________
www.meteofoligno.it

small small small small
 
avatar
italia.png Fili Sesso: Uomo
Filippo
Guru
Guru
Socio Ordinario
 
Utente #: 343
Registrato: 17 Dic 2007

Età: 42
Messaggi: 38875
5639 Punti

Preferenza Meteo: Indifferente

Stazione Meteo: Davis Vantage Pro2

Località: Foligno V.le Firenze 225m s.l.m.

  Condividi
  • Torna in cima Vai a fondo pagina
 

Messaggio Re: Dal Mondo: Segnalazioni Ed Eventi Meteo

#223  Adriatic92 Lun 10 Nov, 2014 13:51

Nel giro di 24/48 h si passa da una +20° a una -10°, allucinante !    

257qetz
 



 
avatar
italia.png Adriatic92 Sesso: Uomo
Daniel
Guru
Guru
 
Utente #: 1723
Registrato: 14 Mag 2014

Età: 33
Messaggi: 16956
5785 Punti

Preferenza Meteo: Freddofilo

Stazione Meteo: Davis Vantage Vue e Oregon Scientific Generica

Località: Polverigi - AN - 140 mslm / circa 20km a SW di Ancona

  Condividi
  • Torna in cima Vai a fondo pagina
 

Messaggio Re: Dal Mondo: Segnalazioni Ed Eventi Meteo

#224  Fili Lun 10 Nov, 2014 14:15

Adriatic92 ha scritto: [Visualizza Messaggio]
Nel giro di 24/48 h si passa da una +20° a una -10°, allucinante !    

257qetz


dalla +20° alla 0° in 6 ore  
 




____________
www.meteofoligno.it

small small small small
 
avatar
italia.png Fili Sesso: Uomo
Filippo
Guru
Guru
Socio Ordinario
 
Utente #: 343
Registrato: 17 Dic 2007

Età: 42
Messaggi: 38875
5639 Punti

Preferenza Meteo: Indifferente

Stazione Meteo: Davis Vantage Pro2

Località: Foligno V.le Firenze 225m s.l.m.

  Condividi
  • Torna in cima Vai a fondo pagina
 

Messaggio Re: Dal Mondo: Segnalazioni Ed Eventi Meteo

#225  snow4ever Lun 10 Nov, 2014 14:39

Fili ha scritto: [Visualizza Messaggio]
Adriatic92 ha scritto: [Visualizza Messaggio]
Nel giro di 24/48 h si passa da una +20° a una -10°, allucinante !    

257qetz


dalla +20° alla 0° in 6 ore  

Si può dire che rosico o rischio il ban?      
 




____________
Voglio il freddo, amo la neve e tutto ciò che dal Nord Europa viene!!!

www.strozzacapponimeteo.it

big
 
avatar
italia.png snow4ever Sesso: Uomo
Alessandro
Moderatore
Moderatore
 
Utente #: 60
Registrato: 19 Giu 2005

Età: 34
Messaggi: 5003
1492 Punti

Preferenza Meteo: Freddofilo

Stazione Meteo: Davis Vantage Vue

Località: San Marco (PG) 450 mt (abitazione) // Strozzacapponi (PG) 250 mt // Bacanella (PG) 230 mt (lavoro)

  Condividi
  • Torna in cima Vai a fondo pagina
 


Pagina 15 di 144
Vai a Precedente  1, 2, 3 ... 14, 15, 16 ... 142, 143, 144  Successivo


NascondiQuesto argomento è stato utile?
Condividi Argomento
Segnala via email Facebook Twitter Windows Live Favorites MySpace del.icio.us Digg SlashDot google.com LinkedIn StumbleUpon Blogmarks Diigo reddit.com Blinklist co.mments.com
technorati.com DIGG ITA linkagogo.com meneame.net netscape.com newsvine.com yahoo.com Fai Informazione Ok Notizie Segnalo Bookmark IT fark.com feedmelinks.com spurl.net
Inserisci un link per questo argomento
URL
BBCode
HTML