Pagina 1 di 2
Vai a 1, 2  Successivo
 

Messaggio Un Mostro di nome Katrina

#1  marvel Lun 29 Ago, 2005 00:23

20

[web]http://weather.msfc.nasa.gov/GOES/goeseastconusir.html[/web]
 



 
Ultima modifica di marvel il Mer 31 Ago, 2005 19:25, modificato 1 volta in totale 
avatar
italia.png marvel Sesso: Uomo
Contributor
Contributor
 
Utente #: 17
Registrato: 17 Apr 2005

Età: 54
Messaggi: 9162
84 Punti

Preferenza Meteo: Indifferente

Stazione Meteo: PCE-FWS 20

Località: San Gemini, Valleantica (TR) - 180 m slm

  Condividi
  • Torna in cima Vai a fondo pagina
 


Messaggio 

#2  marvel Lun 29 Ago, 2005 00:35

Traiettoria prevista

205423w_sm


Probabilitá di traiettoria

205423p_sm

Velocitá del vento/categoria uragano prevista

205423p_sm
 



 
avatar
italia.png marvel Sesso: Uomo
Contributor
Contributor
 
Utente #: 17
Registrato: 17 Apr 2005

Età: 54
Messaggi: 9162
84 Punti

Preferenza Meteo: Indifferente

Stazione Meteo: PCE-FWS 20

Località: San Gemini, Valleantica (TR) - 180 m slm

  Condividi
  • Torna in cima Vai a fondo pagina
 

Messaggio 

#3  marvel Lun 29 Ago, 2005 00:39

Interessante il confronto con alcuni precedenti:

at200512_climo

ed altrettanto interessanti le traiettorie previste dai vari modelli:

at200512_model

Ed infine...

Che stia per nascere un nuovo uragano in Atlantico? (per ora é una depressione che sta trasformandosi in tempesta... poi chissá...

205423123_sm
 



 
avatar
italia.png marvel Sesso: Uomo
Contributor
Contributor
 
Utente #: 17
Registrato: 17 Apr 2005

Età: 54
Messaggi: 9162
84 Punti

Preferenza Meteo: Indifferente

Stazione Meteo: PCE-FWS 20

Località: San Gemini, Valleantica (TR) - 180 m slm

  Condividi
  • Torna in cima Vai a fondo pagina
 

Messaggio Uragano Katrina

#4  matty87ok Lun 29 Ago, 2005 12:16

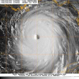
Ecco Katrina ieri nel momento del suo massimo splendore a [glow=red]livello 5[/glow]


                                 ciao

Katrina nel suo max splendore.jpg
Descrizione: Katrina nel suo massiomo splendore 
Dimensione: 16.79 KB
Visualizzato: File visto o scaricato 164 volta(e)

Katrina nel suo max splendore.jpg


 



 
avatar
italia.png matty87ok Sesso: Uomo
Principiante
Principiante
 
Utente #: 7
Registrato: 16 Apr 2005

Età: 37
Messaggi: 287
50 Punti

Preferenza Meteo: Freddofilo


Località: Pretola (PG) 210m

  Condividi
  • Torna in cima Vai a fondo pagina
 

Messaggio 

#5  andrea75 Lun 29 Ago, 2005 13:21

Date un occhio anche qui... direi impressionante!!!

http://www.nnvl.noaa.gov/hurseas200...50828-1kg12.jpg

Le webcam purtroppo sono andate quasi tutte... rimangono al momento queste (almeno tra quelle che ho provato a cercare io)

http://www.nola.com/fqcam/

http://www.nola.com/bridgecam/
 




____________
Facebook: lineameteo - Twitter: @lineameteo

big

Stazione meteo di San Mariano (PG)
Dati meteo in tempo reale
http://sanmariano.lineameteo.it
 
avatar
italia.png andrea75 Sesso: Uomo
Andrea
Presidente
Presidente
 
Utente #: 2
Registrato: 31 Mar 2005

Età: 50
Messaggi: 45353
3864 Punti

Preferenza Meteo: Freddofilo

Stazione Meteo: LaCrosse WS2300

Località: San Mariano (PG) - 290 mt.

  Condividi
  • Torna in cima Vai a fondo pagina
 

Messaggio 

#6  matty87ok Lun 29 Ago, 2005 14:47

sono davvero impressionanti le immagini delle webcam!!!1   

fortuna ke non sono lì....anke se in parte mi piacerebbe x vedere gli uragani

                             ciao
 



 
avatar
italia.png matty87ok Sesso: Uomo
Principiante
Principiante
 
Utente #: 7
Registrato: 16 Apr 2005

Età: 37
Messaggi: 287
50 Punti

Preferenza Meteo: Freddofilo


Località: Pretola (PG) 210m

  Condividi
  • Torna in cima Vai a fondo pagina
 

Messaggio 

#7  massy Lun 29 Ago, 2005 16:44

dal radar ...

latest


in TV ...

Tracking Katrina

Uragani 2005

FOTO ...

Katrina storm damage

Citizen journalists
 




____________
Gli appassionati di meteorologia sono in parte scienziati, in parte poeti.
Gioiscono delle forme e dei colori che glorificano il tempo, si deliziano degli estremi. (T.M.Longstreth)
www.umbriameteo.com
 
avatar
italia.png massy Sesso: Uomo
Principiante
Principiante
 
Utente #: 19
Registrato: 17 Apr 2005

Età: 54
Messaggi: 238
50 Punti

Preferenza Meteo: Indifferente


Località: Assisi (PG)

  Condividi
  • Torna in cima Vai a fondo pagina
 

Messaggio 

#8  marvel Mar 30 Ago, 2005 15:23

Foto trovate su internet... c'é scritto che sono di Katrina, anche se ho alcuni dubbi... cmq eccole

2

1
 



 
avatar
italia.png marvel Sesso: Uomo
Contributor
Contributor
 
Utente #: 17
Registrato: 17 Apr 2005

Età: 54
Messaggi: 9162
84 Punti

Preferenza Meteo: Indifferente

Stazione Meteo: PCE-FWS 20

Località: San Gemini, Valleantica (TR) - 180 m slm

  Condividi
  • Torna in cima Vai a fondo pagina
 

Messaggio 

#9  burjan Mer 31 Ago, 2005 00:45

Negli ultimi giorni, non ho frequentato molto il forum.
La mia attenzione è stata ovviamente attratta da Katrina.
Mi dispiace, ma non sono riuscito ad avere un approccio scientifico-meteorologico all'argomento.
Ho seguito la vicenda dal sito della CNN e sono rimasto scioccato nel vedere quelle scene di distruzione e morte, le città allagate, le case distrutte, le coste ridotte per chilometri e chilometri a discariche di inerti.
Ho visto la governatrice Blanco, la sua espressione sconvolta, desolata, ma anche la sua voglia di ricominciare.
E sono tornato indietro, di botto, ad un terribile settembre di otto anni fa.
Solo chi ha vissuto esperienze di questo genere può capire davvero fino in fondo cosa significhi vedere la propria casa distrutta o a grave rischio, le certezze basilari della propria vita messe radicalmente in discussione, la propria comunità spezzata nelle sue articolazioni fondamentali.
Stasera siamo un pò tutti "sudisti", credo. Stasera gli umbri sono più vicini di tanti altri a questo popolo pieno di contraddizioni, di cui non condividiamo tante cose, ma che tante cose ci ha dato: musiche, miti, sogni dell'adolescenza.
Stasera non mi va di parlare del tempo.
 




____________
Il dono della previsione è far comprendere quanto sia perfettamente inutile dare una risposta alle domande sbagliate (Ursula Le Guin)
 
avatar
italia.png burjan Sesso: Uomo
Luisito
Contributor
Contributor
 
Utente #: 5
Registrato: 16 Apr 2005

Età: 58
Messaggi: 8562
141 Punti

Preferenza Meteo: Freddofilo

Stazione Meteo: Nessuna

Località: Foligno - periferia sud - 219 m.s.l.m

  Condividi
  • Torna in cima Vai a fondo pagina
 

Messaggio 

#10  massy Mer 31 Ago, 2005 11:36

NEW ORLEANS, prima e dopo ...

louisiana_tmo_2005242
 




____________
Gli appassionati di meteorologia sono in parte scienziati, in parte poeti.
Gioiscono delle forme e dei colori che glorificano il tempo, si deliziano degli estremi. (T.M.Longstreth)
www.umbriameteo.com
 
Ultima modifica di massy il Mer 31 Ago, 2005 21:50, modificato 2 volte in totale 
avatar
italia.png massy Sesso: Uomo
Principiante
Principiante
 
Utente #: 19
Registrato: 17 Apr 2005

Età: 54
Messaggi: 238
50 Punti

Preferenza Meteo: Indifferente


Località: Assisi (PG)

  Condividi
  • Torna in cima Vai a fondo pagina
 

Messaggio 

#11  massy Mer 31 Ago, 2005 11:46

Typhoon Talim

talim.a2005242.0200

diretto verso Taiwan ...

wp1305
 




____________
Gli appassionati di meteorologia sono in parte scienziati, in parte poeti.
Gioiscono delle forme e dei colori che glorificano il tempo, si deliziano degli estremi. (T.M.Longstreth)
www.umbriameteo.com
 
avatar
italia.png massy Sesso: Uomo
Principiante
Principiante
 
Utente #: 19
Registrato: 17 Apr 2005

Età: 54
Messaggi: 238
50 Punti

Preferenza Meteo: Indifferente


Località: Assisi (PG)

  Condividi
  • Torna in cima Vai a fondo pagina
 

Messaggio 

#12  massy Mer 31 Ago, 2005 11:56

wp1305sams

wp1405sa
 




____________
Gli appassionati di meteorologia sono in parte scienziati, in parte poeti.
Gioiscono delle forme e dei colori che glorificano il tempo, si deliziano degli estremi. (T.M.Longstreth)
www.umbriameteo.com
 
avatar
italia.png massy Sesso: Uomo
Principiante
Principiante
 
Utente #: 19
Registrato: 17 Apr 2005

Età: 54
Messaggi: 238
50 Punti

Preferenza Meteo: Indifferente


Località: Assisi (PG)

  Condividi
  • Torna in cima Vai a fondo pagina
 

Messaggio 

#13  marvel Mer 31 Ago, 2005 18:07

Anche se sembrerebbe logico un collegamento tra Global Warming ed aumento della frequenza con cui i grandi uragani (cat. 4-5) colpisono l'area caraibica e in generale il Golfo del Messico, alcuni studi scientifici avrebbero dimostrato l'infondatezza di questa ipotesi. Secondo tali studi (che ho letto qualche mese fa, credo su Le Scienze) non vi sarebbero anomalie termiche marine sufficienti a motivare la crescita del fenomeno, anzi, secondo i ricercatori non vi sarebbero dubbi sul fatto che il vero responsabile di queste tempeste tropicali ed uragani sarebbe la circolazione tropicale che in questi anni starebbe producendo continuamente situazioni favorevoli all'innesco degli uragani... ossia "continue ondulazioni nelle correnti prevalenti nell'Oceano Atlantico che porterebbero a continue situazioni di divergenza-convergenza tali da innescare gli uragani"... poi la superfice marina fornirebbe loro l'energia per svilupparsi. Insomma, secondo loro le cause non dipendono tanto dal mare ma dall'atmosfera... il mare poi fornisce "il combustibile".
Un'altra dimostrazione di quanto sia complicato il sistema climatico terrestre...dove niente va mai dato per scontato.  
[left]http://media.washingtonpost.com/wp-dyn/content/graphic/2005/08/31/GR2005083100319.gif[/left][left]http://upload.wikimedia.org/wikipedia/commons/a/a2/Hurricane_profile_graphic.gif[/left][right]http://upload.wikimedia.org/wikipedia/commons/4/47/Atlantic_hurricane_graphic.gif[/right]
 



 
avatar
italia.png marvel Sesso: Uomo
Contributor
Contributor
 
Utente #: 17
Registrato: 17 Apr 2005

Età: 54
Messaggi: 9162
84 Punti

Preferenza Meteo: Indifferente

Stazione Meteo: PCE-FWS 20

Località: San Gemini, Valleantica (TR) - 180 m slm

  Condividi
  • Torna in cima Vai a fondo pagina
 

Messaggio 

#14  marvel Mer 31 Ago, 2005 19:45

L'occhio di Katrina dall'aereo (NOAA)

occhio
 



 
avatar
italia.png marvel Sesso: Uomo
Contributor
Contributor
 
Utente #: 17
Registrato: 17 Apr 2005

Età: 54
Messaggi: 9162
84 Punti

Preferenza Meteo: Indifferente

Stazione Meteo: PCE-FWS 20

Località: San Gemini, Valleantica (TR) - 180 m slm

  Condividi
  • Torna in cima Vai a fondo pagina
 

Messaggio 

#15  andrea75 Mer 31 Ago, 2005 21:05

marvel ha scritto: 
L'occhio di Katrina dall'aereo (NOAA)


Questa fa davvero impressione!  
 




____________
Facebook: lineameteo - Twitter: @lineameteo

big

Stazione meteo di San Mariano (PG)
Dati meteo in tempo reale
http://sanmariano.lineameteo.it
 
avatar
italia.png andrea75 Sesso: Uomo
Andrea
Presidente
Presidente
 
Utente #: 2
Registrato: 31 Mar 2005

Età: 50
Messaggi: 45353
3864 Punti

Preferenza Meteo: Freddofilo

Stazione Meteo: LaCrosse WS2300

Località: San Mariano (PG) - 290 mt.

  Condividi
  • Torna in cima Vai a fondo pagina
 


Pagina 1 di 2
Vai a 1, 2  Successivo


NascondiQuesto argomento è stato utile?
Condividi Argomento
Segnala via email Facebook Twitter Windows Live Favorites MySpace del.icio.us Digg SlashDot google.com LinkedIn StumbleUpon Blogmarks Diigo reddit.com Blinklist co.mments.com
technorati.com DIGG ITA linkagogo.com meneame.net netscape.com newsvine.com yahoo.com Fai Informazione Ok Notizie Segnalo Bookmark IT fark.com feedmelinks.com spurl.net
Inserisci un link per questo argomento
URL
BBCode
HTML